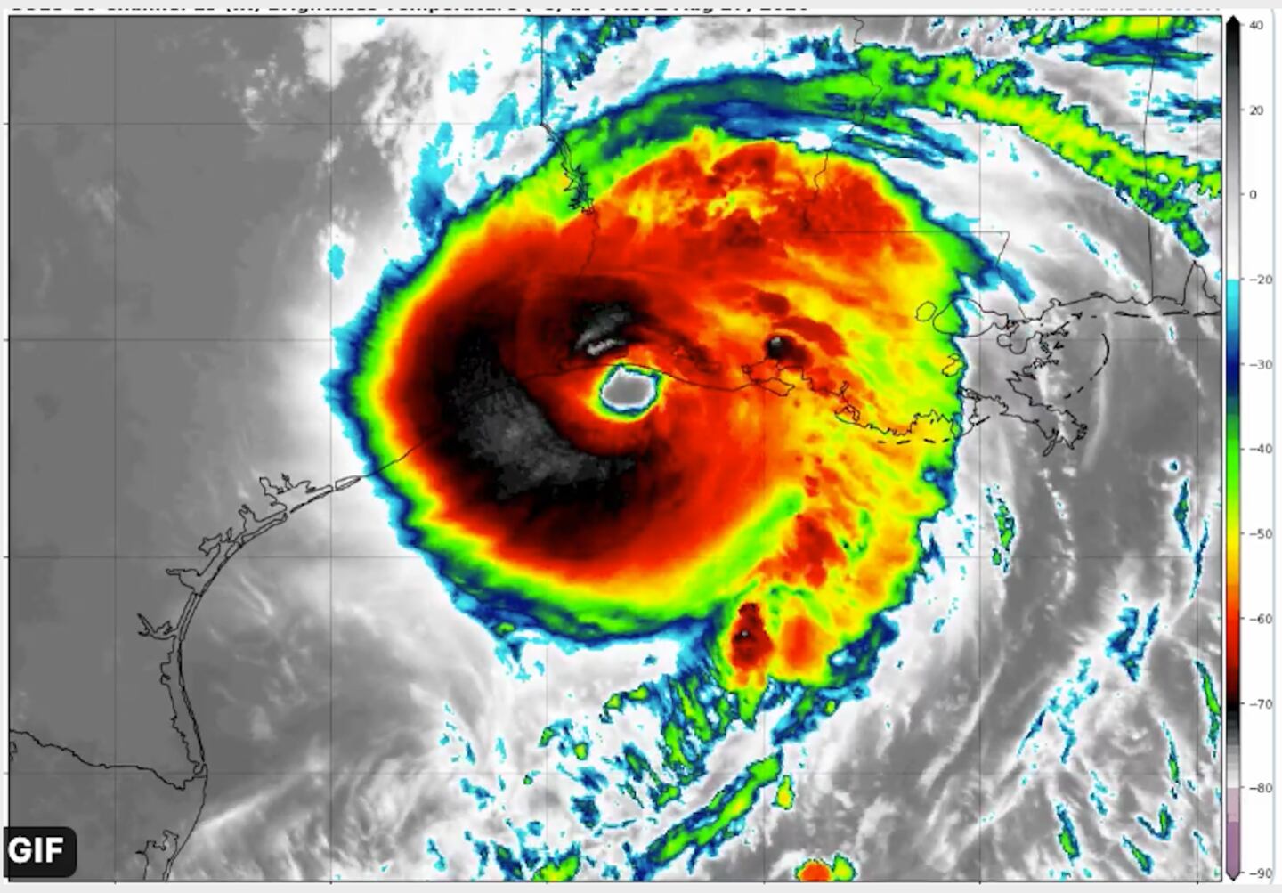
Making landfall near Cameron, LA around 2am Atlanta time with max winds of 150 mph estimated by recon aircraft, making it the strongest hurricane to make land in Louisiana since the “Last Island” Hurricane of 1856 according to CSU tropical expert Professor Philip Klotzbach.
Max observed surface winds of 133 mph measured in Lake Charles, LA. Most anemometers break over 100 mph (many not designed for even that speed) so hard to find higher speed measurements officially.
In diameter size of tropical force wind field it was on a par with Michael (2018) Katrina and Rita (both 2005).
In terms of intensity at landfall (barometric pressure) it was on par with Rita.
It was the first Cat 4 in that part of Louisiana (Southwest).
Only 3 other hurricanes have hit ANY part of Louisiana with pressure readings like Laura.
Laura is the 3rd hurricane to hit the U.S. mainland by August 27th TIED with 1886 and 1916.
It was a HIGH END Category 4 at landfall just 6 mph shy of a Cat 5.
We have now BROKEN the all-time record for the number of named tropical systems hitting the U.S. mainland before the end of August at 7, there were 6 in 1886 and 1916 by end of August.
Katrina is still the lowest pressure storm to hit Louisiana. Laura while having a very low barometer reading does not make the top 10 based on pressure alone. Laura 937hPa Katrina 920hPa.
Since 1950 9 out of 12 Cat 4/5 hurricanes that have struck the U.S. since 1950 peaked within 24 hours of landfall.
At least one life-saving factor was much lower water levels than forecast in Lake Charles, LA. Highest levels recorded so far around 10 feet, but looks like the highest storm surge occurred East of expectation in uninhabited or mostly marsh areas with no gages for measurement and not enough structures left to get a high water mark.
This Saturday August 29th is the 15th Anniversary of Katrina in New Orleans.
Aircraft Reconnaissance flight-level wind swath:
So lucky this did not strike New Orleans or Houston. Worth noting that the NHC never forecast it to hit either! Although Houston/Galveston were in cone of uncertainty. Four days in advance they did a great job as far back as their Sunday August 23rd projection:
For more weather info Follow me on Twitter @MellishMeterWSB.
Cox Media Group


















