Beware the “I”s of August and September. It is no coincidence that many past (I) storm names have been retired from the name list... something that is done when a storm has a major impact to avoid future confusion. The “I” or number 9 storm of each season will typically fall within the timeframe of peak season so it makes sense many would be strong.
Isabel 2003, Ivan 2004, Ike 08, Irene 2011, Ingrid 13 and Irma 2017 among them. This letter is the most frequently retired since storms were first given names in 1953. Over that time period (1953-2020), the average date of the ninth named storm formation is September 26th.
Ida is this seasons ninth storm and formed 17 days ahead of average for the 9th named system. It is predicted to become this seasons 4th hurricane tonight but it could happen sooner.
IDA is still forecast to strengthen into a major hurricane (Cat 3/4 120-128 mph max winds near the eye only) prior to a powerful land strike sometime Sunday or Sunday night. Those in or near the “cone of uncertainty” should prepare now as it is less than 48 hours away. Air Force and NOAA aircraft are flying missions in the storm now as we watch it intensify as it heads for Cuba. Satellite imagery shows a burst of convection (thunderstorms) with a burst of lightning one per second, all signs that often pre-cede Rapid Intensification (RI).
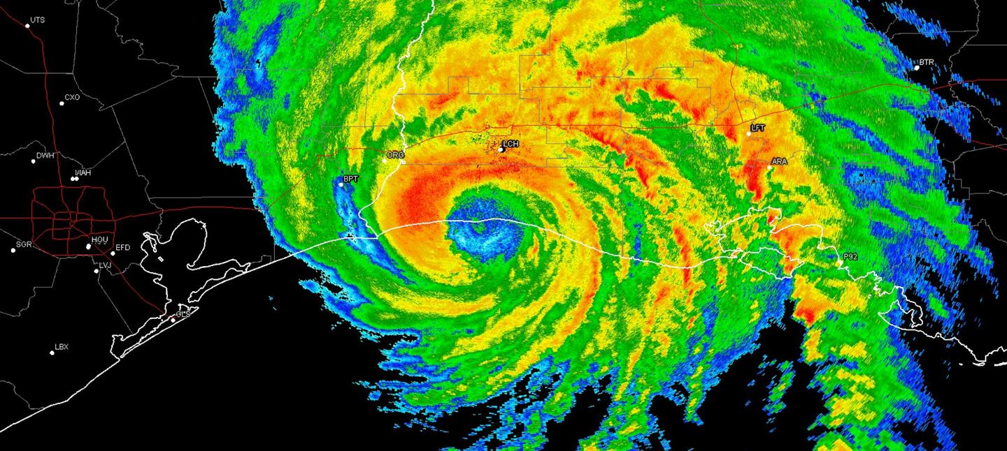
Here is Ida this morning on radar:
We all know the history of hurricanes in Louisiana, but you may have forgotten how it was targeted just last year:
LAST YEAR ON THIS DATE CAT 4 HURRICANE LAURA WAS STRIKING PART OF REGION THREATENED BY IDA:
Oddly enough, it is at least POSSIBLE that IDA will hit on August 29th the 16th anniversary of Katrina, and not all that far from Katrina’s location.
The EXACT LOCATION of the “eye” or center of where Ida ends up IS NOT THE KEY FOCUS. As explained in my last blog and a million times before that, the location of where the center makes landfall is a tiny fraction of the storm and while bad those max winds and surge will impact much less people, buildings and land than the total of the rest of the storm both along the coast and inland and those impacts will also be bad for many.
The models have and will continue to vary some on the point where the eye makes landfall, but at least as of now, there does not appear to be a way it does not have a major impact on Louisiana and adjacent states along and East of the eventual track.
This is JUST one model, the American GFS model:
Serious storm surge, flooding rain, strong winds, tornadoes, falling trees and power outages can be expected. Based on the coupled ocean-atmosphere situation confidence is higher than normal.
There are some statistical models that use environmental conditions and historical data to create a probability of rapid intensification, and the numbers are exceptional for Ida. First, “rapid intensification” is conventionally defined to be an intensity increase of at least 35 mph in a day. That rate is way out on the wings of what storms can do... the top 5% or so. And one model shows the odds 6X above climate normal for rapid intensification. Maybe it will be wrong, lets hope.
I explained the thermodynamic and kinematic meteorology for expecting a powerful system in the blog yesterday, such as very warm gulf waters extending from the surface down 40 meters. There is little evidence against a MAJOR HURRICANE at this time. What remains are changes in the details for those impacted who will get their local forecast and local advice from officials where they live.
Having said all that, I will repeat myself yet again and point out that while forecast track errors have been shrinking our ability to forecast intensity changes up or down is not good. But water, NOT wind is the main killer from tropical cyclones.
7am HURRICANE MODELS TRACK FORECAST MAP:
PAST CAT 5 STORMS:
NHC TECHNICAL DISCUSSION:
For more follow me on Twitter @MellishMeterWSB.
©2021 Cox Media Group





















