Preliminary estimates of 8 twisters in Alabama, at least one and possibly two twisters in Georgia. Damage surveys will determine true number. Five dead in Alabama from the storms, one dead in Coweta County Georgia.
DOTS SHOW WHERE WARNINGS WERE ISSUED AND TYPE OF STORM:
The long-track tornado or multiple tornadoes along a single path killed three:
This is the same supercell storm that later moved across our Northwest suburbs prompting warnings in Polk, Bartow Counties etc.
IF it was a single tornado on the ground in AL the path would be historic at 85 or so miles long.
Later after 10pm Atlanta time another Alabama tornado on the ground passed just a little South of the long-track one:
Minutes after midnight a TORNADO EMERGENCY was issued for the Newnan area. This type of TORNADO WARNING is issued with that wording when the National Weather Service (NWS) has not only a doppler radar indication of a tornado but also A CONFIRMED TORNADO on the ground via reports from the public, storm spotter, or officials. Probably can be done if the radar operator is certain due to a “debris ball” signature on the radar indicating a tornado is lofting debris.
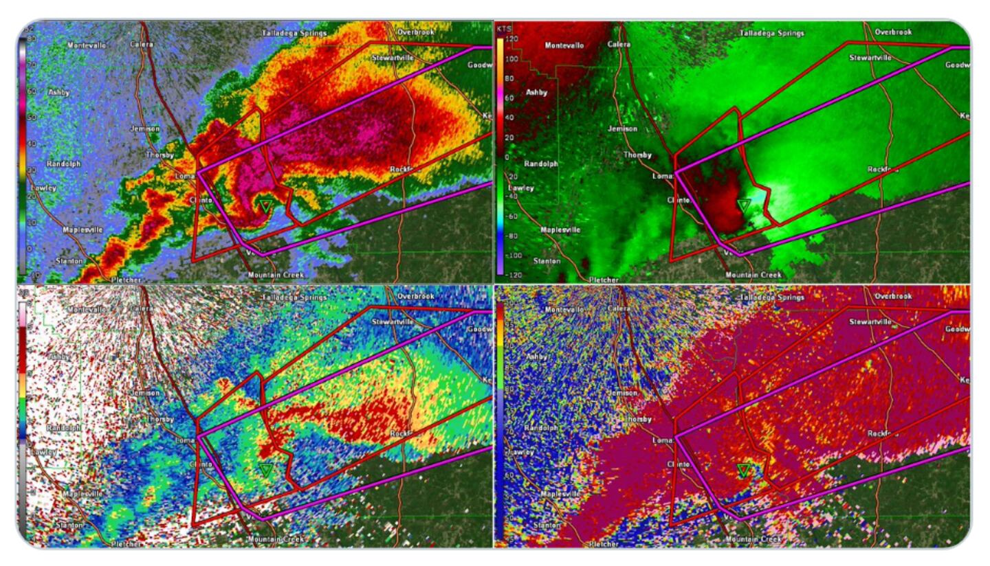
Meteorologist Sam Emmerson of the University of Oklahoma helped develop experimental method to estimate the intensity rating of a tornado using doppler radar data, including a Tornado Debris Signature (TDS). His TDS analysis method reveals a well developed 86 MPH wind couplet and debris lifted 15,000 feet high suggesting a rating in the EF-3 range. His charts shown below:
The Atlanta National Weather Service based in Peachtree City will send out a damage survey team to officially determine the rating.
THIS SHOWS PATHS OF STORMS THAT HAD ROTATION. Good proof of what we know, not all thunderstorms rotate and NOT all thunderstorms that have rotation create tornadoes:
For weather updates and tidbits follow me on Twitter @MellishMeterWSB.
Cox Media Group






















